

reference: 44900
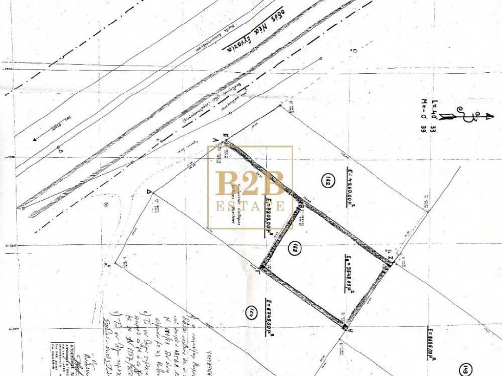
id: #44900 - thessaloniki, pulaia: for rent plane parcel 3700sqm with facade length of 12m, corner with a coefficient building of 0, buildable area 0sqm, coverage ratio 0%. it is suitable for agricultural use and its zoning is unincorporated with a mountain view. it is located only 900m away from the sea, 250m from the nearest village, 1.5km from the nearest airport, 1.25km from the nearest town. the asking price is 400€ per month.