Land Plot for Sale

€ 270,000
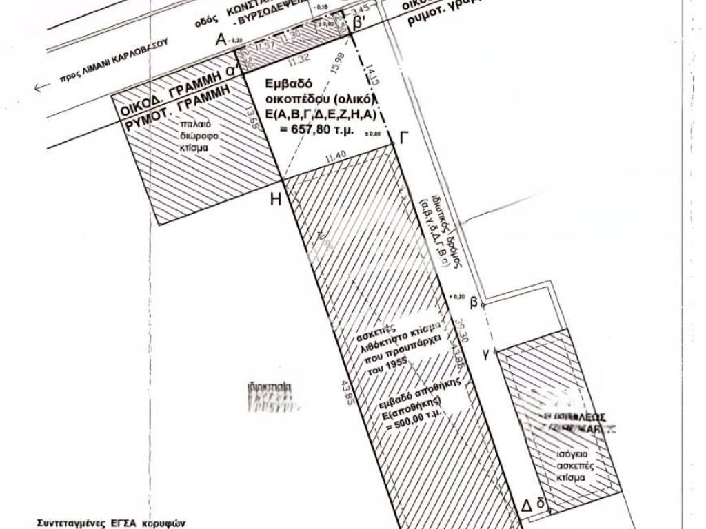
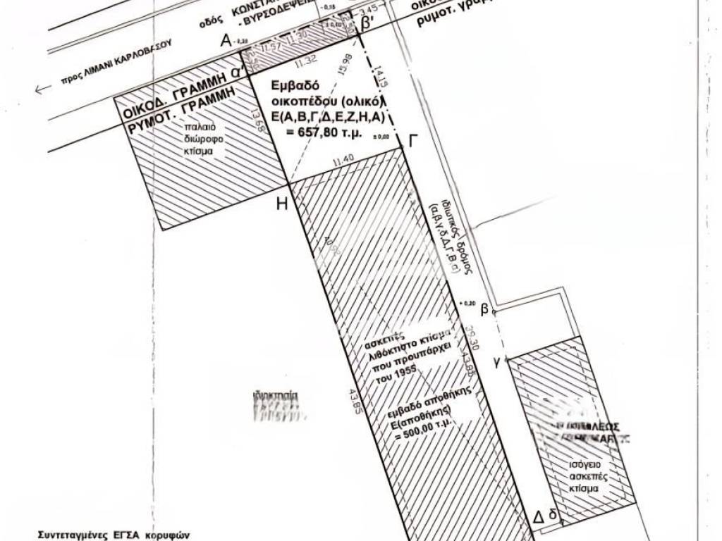
658 m²

Note

Listing updated on 02/24/2026
Description

This description has been translated automatically by Google Translate and may not be accurate

reference: 323453

Property Code. 323453 - Plot FOR SALE in Samos Karlovasi for € 270.000 . Discover the features of this 658.00 sq. m. Plot: Distance from sea 30 meters, Coverage Coefficient: 70.00 it comes width a building

Features
Contract
Sale
Type
Land Plot
Surface
658 m²
Street access / right of way
On the motorway
Other features
  • Exposure north
Price information
Price
€ 270,000
Price per m²
410 €/m²
Discover every corner of the property
+3
Additional options

Contact the advertiser

Or