Terreno urbanizable en Venta

€ 77.000
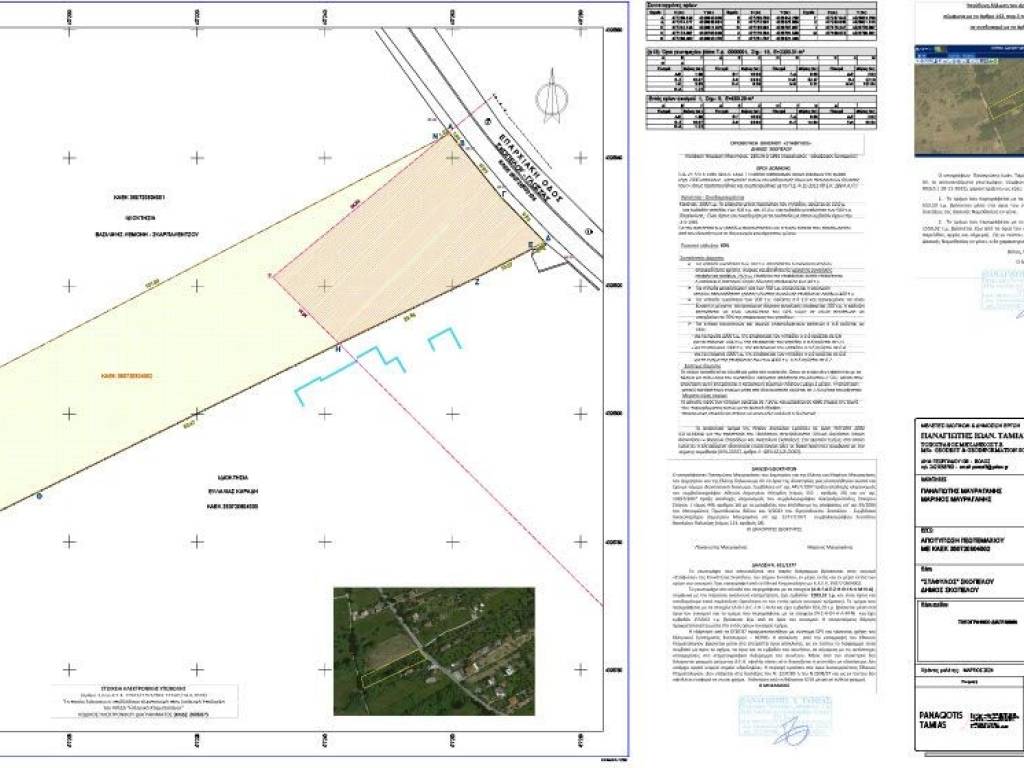
2.203 m²

Nota

Anuncio actualizado el 09/03/2026
Descripción

referencia: EK-6722509

πωλείται οικόπεδο 2203 τ.μ. στο Στάφυλο Σκοπέλου εντός ορίων οικισμού Στάφυλου, άρτιο και οικοδομήσιμο. Κτίζεις 280 τ.μ. Εφαπτόμενο με περίπου 23 μέτρα της επαρχιακής οδού Σκοπέλου-Λουτρακίου. Είναι 1000 μέτρα από τη παραλία Στάφυλου, Βελάνιο, 3500 μέτρα από τη Χώρα Σκοπέλου, κοντά σε στάση, φούρνο, μαγαζιά και ταβέρνες. Είναι περιφραγμένο, επίπεδο με χώμα, χωρίς πέτρες, δίπλα σε σπίτια και νοικιαζόμενα δωμάτια. Ιδανικό για οικιστική χρήση και τουριστική αξιοποίηση. Διπλή πρόσβαση στο οικόπεδο από την επαρχιακό οδό και αγροτικό δρόμο. Μαρίνος 6975517993
Características
Contrato
Venta | Inmueble con ingresos
Tipología
Terreno urbanizable
Superficie
2.203 m²
Acceso a la vía/servidumbre de paso
Por carretera
Información del precio
Precio
€ 77.000
Precio del m²
35 €/m²
Descubre otros ángulos del inmueble
+8
Anunciante
user male

Particular

Opciones adicionales

Contactar con el anunciante

user male

Particular