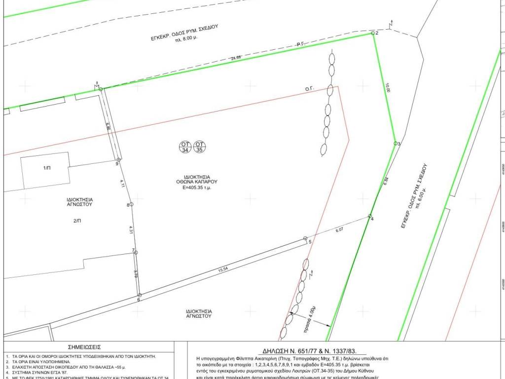
ΜΟΝΑΔΙΚΟ ΟΙΚΟΠΕΔΟ ΜΕ ΠΑΝΟΡΑΜΙΚΗ & ΠΑΝΤΟΤΙΝΗ ΘΕΑ ΘΑΛΑΣΣΑ – ΣΤΑΥΡΟΣ, ΛΟΥΤΡΑ ΚΥΘΝΟΥ Σε μία από τις πιο προνομιακές και περιζήτητες τοποθεσίες της Κύθνου, ακριβώς πάνω από το εκκλησάκι του Σταυρού των Λουτρών, διατίθεται εξαιρετικό γωνιακό οικόπεδο 405,35 τ.μ., εντός εγκεκριμένου ρυμοτομικού σχεδίου, με απρόσκοπτη και παντοτινή θέα στο Αιγαίο. Η θέση του οικοπέδου είναι πραγματικά μοναδική: ✔ Βρίσκεται σε υπερυψωμένο σημείο. ✔ Εφάπτεται σε εγκεκριμένες οδούς. ✔ Διασφαλίζει ανεμπόδιστη θέα θάλασσα που δεν μπορεί να χαθεί ποτέ. ✔ Λίγα μόλις λεπτά με τα πόδια από τα ιαματικά λουτρά και το λιμάνι των Λουτρών. ✔ Λίγα μόλις λεπτά με τα πόδια από τον μαγευτικό κόλπο της Αγιας Ειρήνης. Το ακίνητο είναι άρτιο και οικοδομήσιμο, εντός σχεδίου, χωρίς υποχρέωση εισφοράς σε γη ή χρήμα. Ιδανικό για ανέγερση πολυτελούς κατοικίας, δωμάτια για εκμετάλλευση ή εξοχικής βίλας με πισίνα, σε ένα σημείο που συνδυάζει ηρεμία, φυσικό τοπίο και άμεση πρόσβαση στη θάλασσα. Η περιοχή των Λουτρών αποτελεί μία από τις πιο αναπτυσσόμενες και υψηλής ζήτησης ζώνες της Κύθνου, με σταθερή ανοδική πορεία αξιών και έντονο επενδυτικό ενδιαφέρον. Αν αναζητάτε ένα οικόπεδο που: • Θα κρατήσει για πάντα τη θέα του • Έχει ξεκάθαρο πολεοδομικό καθεστώς • Βρίσκεται σε προνομιακή τοποθεσία • Συνδυάζει ιδιωτικότητα και προσβασιμότητα … τότε αυτό το ακίνητο αποτελεί σπάνια ευκαιρία. Λουτρά Κύθνου Εμβαδόν: 405,35 τ.μ. Παντοτινή θέα θάλασσα Είναι άμεσα μεταβιβάσιμο και διαθέσιμο για σοβαρούς αγοραστές.