
1/1
Οικόπεδο προς Πώληση
€ 650.000
Τελευταία ενημέρωση: 25/02/2026
Περιγραφή
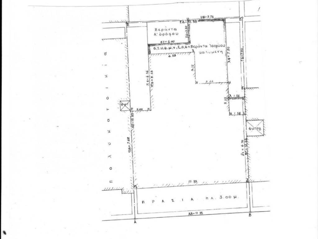
κωδικός: EK-9553629
πλησίον πλατείας Αγ Θωμά ,νοσοκομείων ,σχολών πανεπιστημίων ,ΜΜΜ.αγοράς ,σε ήσυχο σημείο ,δίδεται προς πώληση οικόπεδο 220τμ ,με συντ δόμησης 3,6% και κάλυψη 0,70.
Χαρακτηριστικά
- Συμβόλαιο
- Πώληση | Επενδυτικό
- Τύπος
- Οικόπεδο
- Εμβαδόν
- 220 m²
- Πρόσβαση από/δικαίωμα διέλευσης
- Σε αυτοκινητόδρομο
Άλλα χαρακτηριστικά
Πληροφορίες τιμής
- Τιμή
- € 650.000
- Τιμή ανά m²
- 2.955 €/m²
Πρόσθετες επιλογές